Rif: 212/D
CORI
LATINA
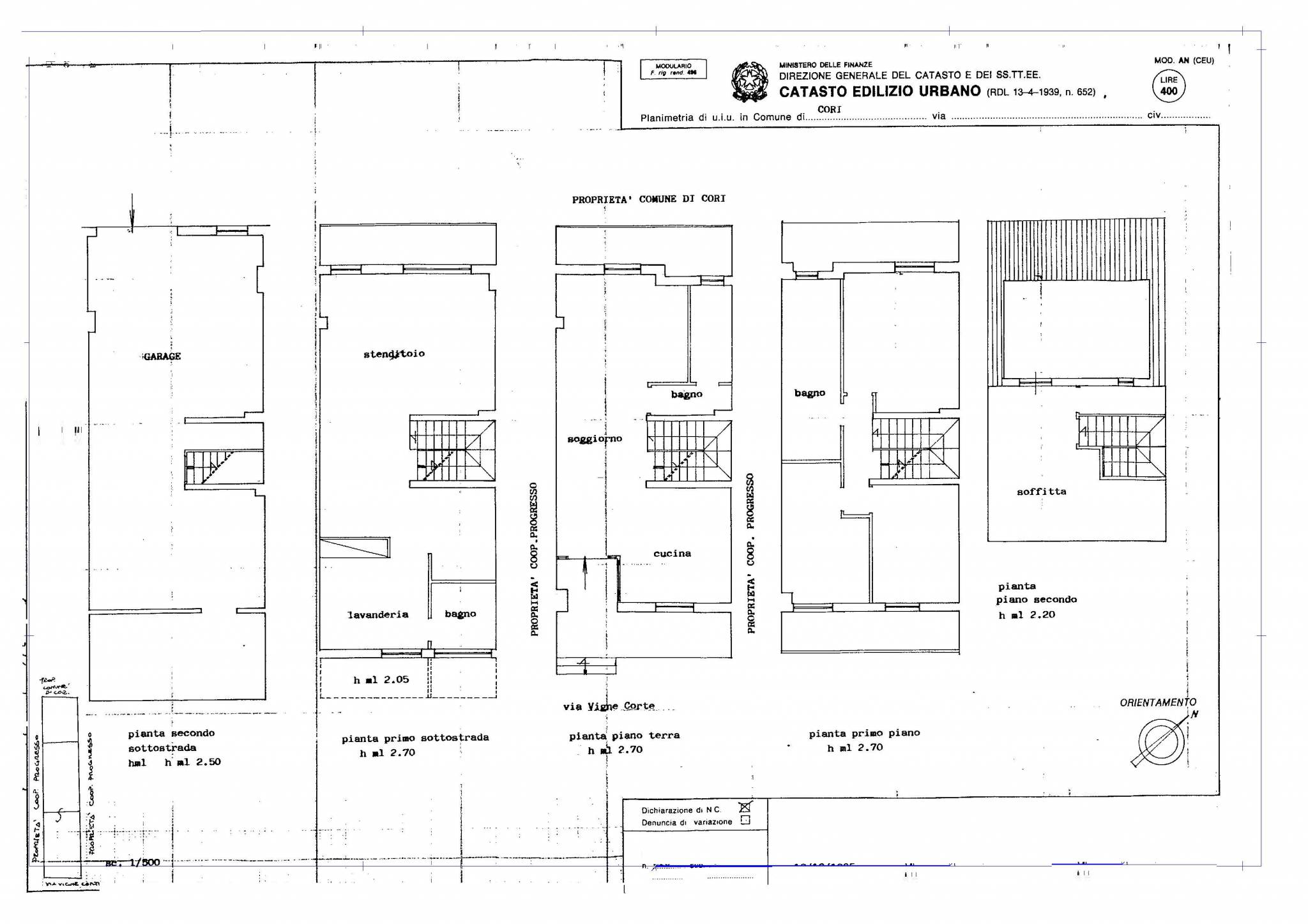
Giulianello : in Zona residenziale in un contesto tranquillo e silenzioso in posizione panoramica proponiamo in vendita Graziosa Villa a schiera in buono stato di complessivi 278 mq. e cosi divisa : al piano rialzato troviamo un portico per accedere ad un ampio salone con camino - cucina in muratura a vista ,bagno con doccia , balcone, piano primo: disimpegno , 2 camerette ,camera matrimoniale, ampio bagno , 2 balconi; piano secondo : mansarda con bagno e terrazzo a livello mentre al piano terra : sala hobby , camera, bagno con doccia , dotata di impianto di aria condizionata, zanzariere, pannello solare termico e foto voltaico, cancello elettrico. Completano la proprietà un doppio garage, cantina. La porzione è circondata da un giardino pianeggiante di circa 150 mq in parte pavimentato e una parte è coltivato e piante ornamentali, dotato di impianto di illuminazione. Prezzo richiesto Eu. 170.000 Per ulteriori informazioni o per fissare un appuntamento al suddetto immobile ci contatti al numero 06/96142506 per tutte le altre proposte presenti sul comune di Velletri visiti il nostro sito www.immobiliarefagnani.it Riferimento annuncio 212/D
Consistenze
| Descrizione | Superficie | Sup. comm. |
|---|---|---|
| Principali | ||
| Immobile - piano terra | 60 Mq | 60 Mqc |
| Immobile - 1° piano | 60 Mq | 60 Mqc |
| Soffitta - 2° piano | 28 Mq | 14 Mqc |
| Immobile - piano terra | 82 Mq | 82 Mqc |
| Box/Garage - piano terra | 60 Mq | 30 Mqc |
| Terrazza - piano terra | 12 Mq | 4 Mqc |
| Balcone - 1° piano | 47 Mq | 14 Mqc |
| Giardino/Resede | 150 Mq | 15 Mqc |
| Totale | 279 Mqc | |

